Ambersweet

Synonyms

None

Cultivar or taxon

(Citrus reticulata Blanco [Clementine Group] X Citrus x aurantium L., pro sp. [Tangelo Group]) X Citrus x aurantium L., pro sp. [Sweet Orange Group] (sensu Mabberley 2004); (Citrus clementina hort. X Citrus x tangelo J.W. Ingram & H.E. Moore) X Citrus sinensis (L.) Osbeck (sec. NPGS/GRIN 2010)

Origin

The Chiefland Budwood Facility (2010) provided the following notes on the cultivar (clones DPI-817-14/DPI-817-65): "Released by Dr. Jack Hearn, USDA in 1989. A hybrid of [(Clementine X Orlando)Midseason Orange]; classified as an orange for fresh fruit purposes."

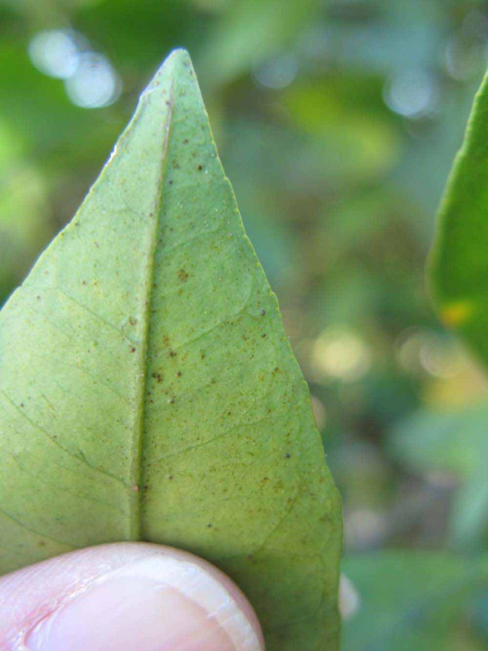
Description

Crown compact or dense, not weeping. First-year twig surface glabrous; second- or third-year twig surface striate; thorns absent or not persistent; prickles absent or not persistent. Petiole glabrous, length short, wings narrow, adjoining the blade. Leaflets one, margins entire (by misinterpretation) or bluntly toothed, shade leaflet blades weakly conduplicate, sun leaflet blades weakly or strongly conduplicate. Scent of crushed leaflets sweetly orange-like. Fruit as broad as long or longer than broad; rind yellow (7-10), yellow-orange (11), or orange (12); rind texture slightly rough (4-5); firmness leathery; navel absent; flesh orange; taste acidic-sweet.

The Chiefland Budwood Facility (2010) provided the following additional notes on the cultivar (clones DPI-817-14/DPI-817-65): "Large size fruit, early season, not as productive as other round oranges. Good juice color at maturity."

Notes

The Chiefland Budwood Facility (2010) provided the following notes on the cultivar (clones DPI-817-14/DPI-817-65): "Usually not grown as a commercial variety due to lower yields."

References

Chiefland Budwood Facility. 2010. 2010 Annual report July 1, 2009 - June 30, 2010. Bureau of Citrus Budwood Registration, Florida Department of Agriculture & Consumer Services, Winter Haven.

Mabberley, D.J. 2004. Citrus (Rutaceae): A review of recent advances in etymology, systematics and medical applications. Blumea 49: 481–498.

Resources

Search for this cultivar in NCBI2 Entrez

           Habit (Winter Haven, FL)

Habit (Winter Haven, FL)

             Bark (Winter Haven, FL)

Bark (Winter Haven, FL)

             First year twig (Winter Haven, FL)

First year twig (Winter Haven, FL)

             First year twig (Winter Haven, FL)

First year twig (Winter Haven, FL)

             First year twig (Winter Haven, FL)

First year twig (Winter Haven, FL)

             Second - third year twig (Winter Haven,   FL)

Second - third year twig (Winter Haven, FL)

             Petiole (Winter Haven, FL)

Petiole (Winter Haven, FL)

             Petiole (Winter Haven, FL)

Petiole (Winter Haven, FL)

             Unifoliolate leaf (Winter Haven, FL)

Unifoliolate leaf (Winter Haven, FL)

             Unifoliolate leaf (Winter Haven, FL)

Unifoliolate leaf (Winter Haven, FL)

             Margin (Winter Haven, FL)

Margin (Winter Haven, FL)

              Margin (Winter Haven, FL)

Margin (Winter Haven, FL)

              Margin (Winter Haven, FL)

Margin (Winter Haven, FL)

              Margin (Winter Haven, FL)

Margin (Winter Haven, FL)

             Shade leaves (Winter Haven, FL)

Shade leaves (Winter Haven, FL)

             Sun leaves (Winter Haven, FL)

Sun leaves (Winter Haven, FL)

             Sun leaves (Winter Haven, FL)

Sun leaves (Winter Haven, FL)

           Sun leaves (Winter Haven, FL)

Sun leaves (Winter Haven, FL)

           Sun leaves (Winter Haven, FL)

Sun leaves (Winter Haven, FL)

             Sun leaves (Winter Haven, FL)

Sun leaves (Winter Haven, FL)

             Fruit (Winter Haven, FL)

Fruit (Winter Haven, FL)

             Fruit (Winter Haven, FL)

Fruit (Winter Haven, FL)

             Fruit cross-section (Winter Haven, FL)

Fruit cross-section (Winter Haven, FL)