Bael

Synonyms

Azamatl, Bengal Apple, Bengal Quince, Bhel, Darogaji, de Malabar, Golden Apple, Indian Bael, Kaghzl, Khamarla, Matoom, Matum, Mitzapurl, Ojha, Rampurl (sec. Cottin 2002); Crataeva marmelos L., Belou marmelos (L.) Lyons (sec. Swingle and Reece 1967)

Cultivar or taxon

Aegle marmelos (L.) Corrêa (sec. Swingle and Reece 1967, Bayer et al. 2009; sensu Tanaka sec. Cottin 2002)

Description

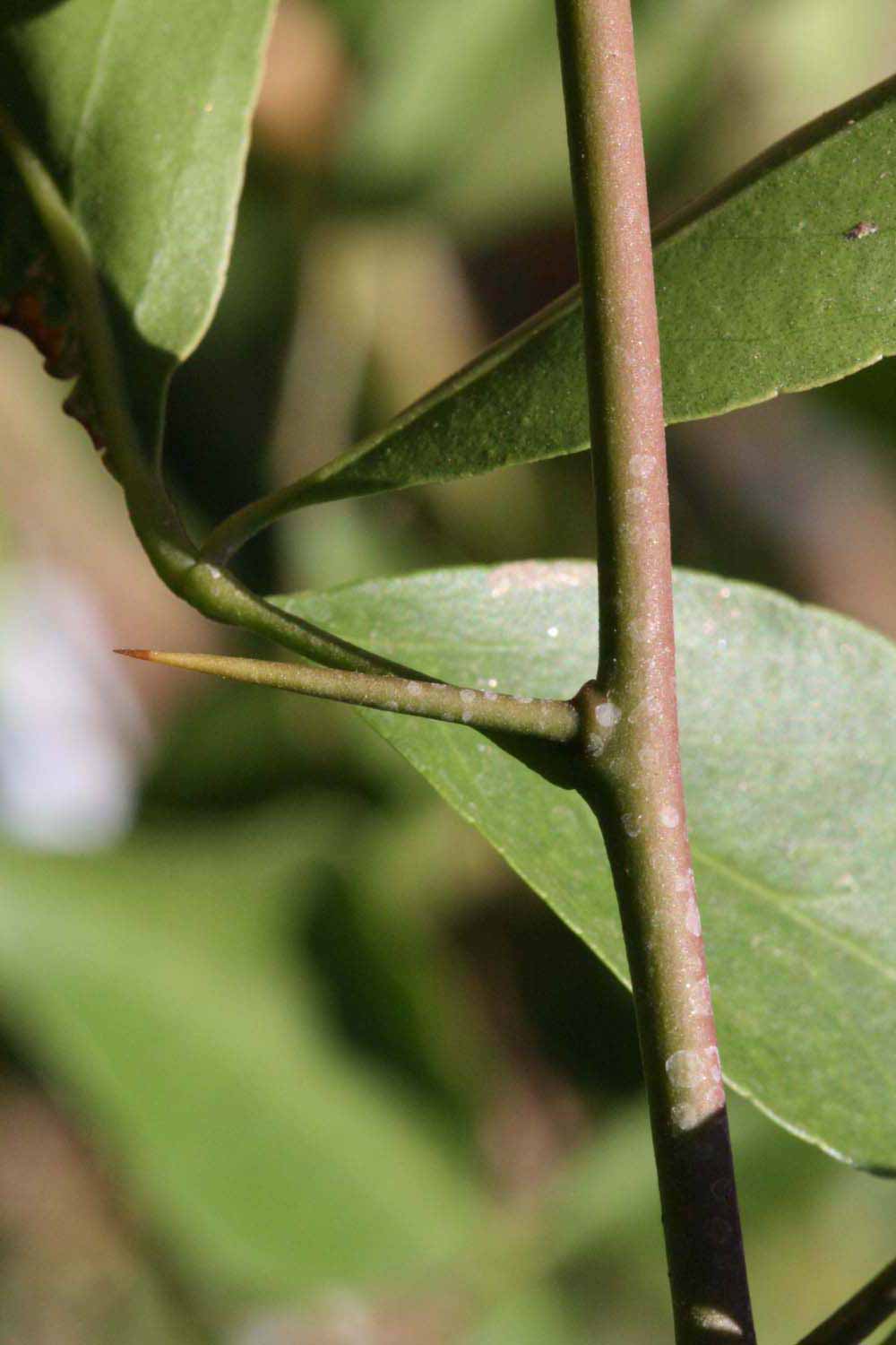
Crown compact or dense, not weeping. First-year twig surface glabrous; second- or third- year twig surface striate; thorns straight; prickles absent or not persistent. Petiole glabrous, length very long, wings absent. Leaflets three, margins crenate/crenulate, rachis wings absent, shade leaflet blades flat or weakly conduplicate, sun leaflet blades weakly or strongly conduplicate. Leaflets not scented when crushed. Fruit as broad as long or longer than broad; rind dark green (3), medium green (4), light green with some break to yellow (5), yellow (7-10), yellow-orange (11), or orange (12); rind texture smooth (1-3) or slightly rough (4-5); firmness woody; navel absent; flesh red/purplish-tinged.

Swingle and Reece (1967) provided the following additional notes on the species:

"Bentley and Trimen (l.c.) gave the following description of this species: "A tree reaching a height of 30 or 40 feet when cultivated, with a short thick trunk and narrow oval head; in the wild state smaller and more irregular, with short, strong, sharp, spiny branches 1 inch or more in length in the axils of the leaves; bark bluish-grey, soft, with irregular furrows on the younger branches. Leaves alternate, compound, with one (rarely 2) pairs of shortly stalked opposite leaflets, and a larger long-petioled terminal one, leaflets 1-2 inches long, ovate or oval-ovate, abrupt or tapered at the base, somewhat attenuated towards the blunt apex, very shallowly serratocrenate, smooth, thin, midrib prominent beneath. Flowers 3/4 inch wide, sweet-scented, stalked, solitary, or in few-flowered, lax, erect, axillary or terminal cymes. Calyx shallow, with 5 short, broad teeth, pubescent outside. Petals 5 (rarely 4), oblong-oval, blunt, thick, pale greenish-white, dotted with glands, imbricate, spreading. Stamens numerous, sometimes coherent in bindles, hypogynous with short filaments half as long as the linear anthers. Disk none or very small. Ovary oblong-ovoid, slightly tapering into the thick short style which is again somewhat thickened upward, stigma capitate, axis of ovary wide, cells numerous, 8-20, small, arranged in a circle, with numerous ovules in each cell. Fruit usually globose, 2-5 inches in diameter, pericarp nearly smooth, greyish-yellow, about 1/8 inch thick, hard, filled with softer tissue becoming very hard and orange-red when dry; cells as in ovary. Seeds very numerous, somewhat compressed, ranged in closely packed tiers in the cells and surrounded by a very tenacious, slimy transparent mucus which becomes hard when dry; testa white, covered with woolly hairs immersed in the mucus, embryo with large cotyledons, and a short superior radicle; no endosperm."

Aegle marmelos has dimorphic twigs: (a) normal twigs with internodes 3 to 5 cm long with one well-developed leaf at each node, often with one or two spines alongside; (b ) foliage spurs produced on primary branches of the previous year's growth, usually very short, 1 to 3 cm long, with numerous very short internodes, each node bearing a leaf but no spines. The numerous leaves crowded on the foliage spurs vary greatly in size, the largest being nearly as large as the normal leaves on rapidly growing long-internoded branches but having decidedly longer petioles. The smaller leaves borne near the base of the foliage spurs are often much dwarfed, sometimes being only one-fifth or one-tenth as long as normal leaves. These crowded leaves of all sizes often hide almost completely the branches which bear them.

Because of these dimorphic characteristics the bael-fruit tree presents a peculiar appearance, with its long, slender young branches with only a few leaves scattered along them arising from an inner crown of older branches almost completely covered with massed foliage borne on the leaf spurs. Poncirus trifoliata has somewhat similar dimorphic branches and leaves but shows much less variation in the size of the leaves produced on the leaf spurs.

Besides this dimorphism of twigs and leaves, Aegle marmelos shows great variability in both kinds of leaves on different seedling trees, not only in size but in important botanical characters, such as the presence or absence of a separative layer at the junction of the terminal leaflet with its petiolule, the relative length of this petiolule and of the petiole, as well as the length of the petiole in relation to the length of the entire leaf. The petioles on some trees have distinct wings on each side for almost their entire length and on other trees show only two inconspicuous green lines broadened into very narrow wings at the upper end of the petiole. The leaflets vary greatly on different seedling trees in marginal crenulation and flatness or curvature of their surface. There is also great variation in the posture of the leaves on the twigs which bear them and the degree to which the blades, petioles, and supporting twigs show reddish coloration where exposed to sunlight.

These surprising diversities in leaf characters were studied by Swingle in October, 1941, on some thirteen fruiting trees growing at Coconut Grove and Homestead, Florida, and convinced him that it would be necessary to make a detailed study of both wild and cultivated bael-fruit trees in India. The extraordinary variation in taxonomically significant characters shown by the trees grown from seeds imported from India very probably means that there are several different strains, botanical varieties, or even good species to be found among the wild plants growing in the mountains of northern India. Seedlings of these diverse wild forms planted together in the villages would doubtless be cross-pollinated by insects and produce complex and highly variable hybrids like those we find growing in Florida."

Notes

Swingle and Reece (1967) additionally noted that: "Although the bael-fruit tree grows commonly in tropical climates, it loses its leaves in winter when in a cool climate; moreover, it is able to endure low temperatures in India when in a leafless condition—as low, it is said, as 17.5° F (-8° C). It is possible that, like many other deciduous trees, it must be exposed to the proper degree of cold over a long enough period for food materials stored in the trunk and twigs to be rendered available to support the new growth in early spring."

References

Bayer, R.J., D.J. Mabberley, C. Morton, C.H. Miller, I.K. Sharma, B.E. Pfeil, S. Rich, R. Hitchcock, and S. Sykes. 2009. A molecular phylogeny of the orange subfamily (Rutaceae: Aurantioideae) using nine cpDNA sequences. American Journal of Botany 96: 668–685.

Cottin, R. 2002. Citrus of the World: A citrus directory. Version 2.0. France: SRA INRA-CIRAD.

Davis, D. 1930. A descriptive account of the Bahraich Forest Division, United Provinces. Indian Forester 56: 108–115.

Swingle, W.T. and P.C. Reece. 1967. The botany of Citrus and its wild relatives. In: Reuther, W., H.J. Webber, and L.D. Batchelor (eds.). The Citrus industry. Ed. 2. Vol. I. University of California, Riverside. http://lib.ucr.edu/agnic/webber/Vol1/Chapter3.html.

Turner, F. 1893. New commercial crops for New South Wales. Agricultural Gazette of New South Wales 4: 152–157.

Watt, G. 1889-93. A dictionary of the economic products of India. Supt. Gov't. Print., Calcutta. 6 vol.

Resources

Search for this cultivar in NCBI Entrez, NCBI Nucleotide, or NCBI Expressed Sequence Tags

Additional information on this cultivar at University of California: Riverside Citrus Variety Collection

             Habit (Winter Haven, FL)

Habit (Winter Haven, FL)

             Bark (Winter Haven, FL)

Bark (Winter Haven, FL)

             Bark (Winter Haven, FL)

Bark (Winter Haven, FL)

             Bark (Winter Haven, FL)

Bark (Winter Haven, FL)

             Bark (Riverside, CA)

Bark (Riverside, CA)

             First year twig with thorn (Riverside,   CA)

First year twig with thorn (Riverside, CA)

             First year twig (Riverside, CA)

First year twig (Riverside, CA)

             Second - third year twig with thorns (Riverside,   CA)

Second - third year twig with thorns (Riverside, CA)

             Thorn (Winter Haven, FL)

Thorn (Winter Haven, FL)

             Petiole (Winter Haven, FL)

Petiole (Winter Haven, FL)

             Petiole (Riverside, CA)

Petiole (Riverside, CA)

             Petiole (Riverside, CA)

Petiole (Riverside, CA)

             Trifoliolate leaf (Riverside, CA)

Trifoliolate leaf (Riverside, CA)

             Trifoliolate leaf (Riverside, CA)

Trifoliolate leaf (Riverside, CA)

             Trifoliolate leaf (Winter Haven, FL)

Trifoliolate leaf (Winter Haven, FL)

             Trifoliolate leaf (Winter Haven, FL)

Trifoliolate leaf (Winter Haven, FL)

             Trifoliolate leaf (Winter Haven, FL)

Trifoliolate leaf (Winter Haven, FL)

             Leaflet (Winter Haven, FL)

Leaflet (Winter Haven, FL)

             Leaflet (Winter Haven, FL)

Leaflet (Winter Haven, FL)

             Leaflet (Winter Haven, FL)

Leaflet (Winter Haven, FL)

             Margin (Winter Haven, FL)

Margin (Winter Haven, FL)

             Margin (Winter Haven, FL)

Margin (Winter Haven, FL)

             Margin (Riverside, CA)

Margin (Riverside, CA)

             Shade leaves (Riverside, CA)

Shade leaves (Riverside, CA)

             Shade leaves (Winter Haven, FL)

Shade leaves (Winter Haven, FL)

           Shade leaves (Winter Haven, FL)

Shade leaves (Winter Haven, FL)

             Sun leaves (Winter Haven, FL)

Sun leaves (Winter Haven, FL)

             Sun leaves (Winter Haven, FL)

Sun leaves (Winter Haven, FL)

             Sun leaves (Winter Haven, FL)

Sun leaves (Winter Haven, FL)

             Sun leaves (Riverside, CA)

Sun leaves (Riverside, CA)

             Sun leaves (Riverside, CA)

Sun leaves (Riverside, CA)

           Fruit (Winter Haven, FL)

Fruit (Winter Haven, FL)

           Fruit (Winter Haven, FL)

Fruit (Winter Haven, FL)

           Fruit (Riverside, CA)

Fruit (Riverside, CA)

           Fruit (Riverside, CA)

Fruit (Riverside, CA)

             Fruit cross-section (Riverside, CA)

Fruit cross-section (Riverside, CA)