Severinia disticha

Synonyms

Limonia disticha Blanco (sec. Swingle and Reece 1967)

Cultivar or taxon

Severinia disticha (Blanco) Swingle (sec. Swingle and Reece 1967)

Description

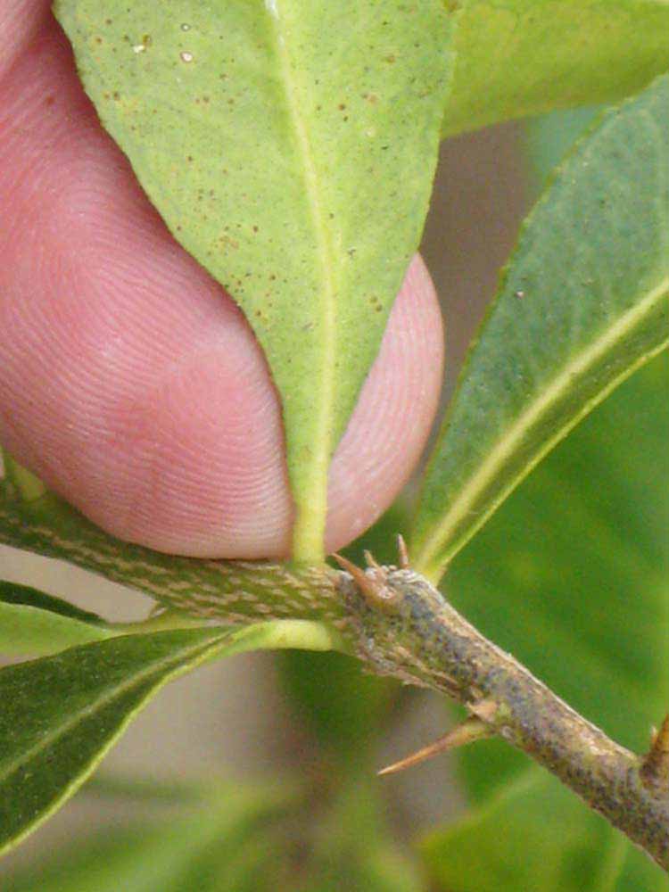
Crown compact or dense, not weeping. First-year twig surface pubescent; second- or third-year twig surface mottled; thorns straight; prickles absent or not persistent. Petiole glabrous, length short; wings absent. Leaflets one, margin bluntly toothed or crenate/crenulate, shade leaflet blades weakly conduplicate, sun leaflet blades weakly conduplicate. Scent of crushed leaflets sweetly orange-like. Fruit broader than long, as broad as long, or longer than broad; rind black, medium green (4), light green with some break to yellow (5), or green-yellow (6); rind texture smooth (1-3); firmness membranous; navel absent.

Swingle and Reece (1967) provided the following additional notes on the species: "Young twigs angular, sometimes with scanty gray pubescence soon glabrous and terete, sometimes apparently glabrous from the beginning; twigs spineless but occasionally with paired, slender, sometimes pubescent, spine-like paraphylls rarely equaling the petioles in length; leaves 3-8 (rarely 10-11) cm long by 2.5-4 (rarely 1.5-2) cm wide, oval, ovate-lanceolate or sometimes fusiform, acuminate or acute at the apex, acumen often blunt and frequently emarginate, narrowed gradually into a cuneate base which merges into the petiole, margin subentire sometimes slightly crenulate and frequently wavy in dried specimens, lateral veins visible above but slightly more prominent below, extremely numerous, parallel, straight, occasionally showing 15-20 pairs, arising at an angle of 55°-60° with the midrib; petioles 3-9 (usually 6-8) mm long, flattened above with a furrow made by the decurrent margins of the leaf, sometimes pubescent, sometimes almost glabrous, especially on the under side; inflorescences many-flowered, axillary or rarely terminal racemes, 3-6 cm long (rarely 8-9 cm long, and much branched); pedicels slender, 3-5 mm long, with minute bractlets at their juncture with the peduncle; both peduncles and pedicels pubescent; calyx persistent, sepals 5, imbricate, broadly rounded, margins ciliate; petals 5, 3.5-4.5 mm long, 2-3 mm wide, oblong or obovate; stamens 10, nearly as long as the petals, filament flattened, broad, free, anthers short, small, ovate; ovary subglobose, small (1.5-2 mm long), 2-locular, with 2 large glands at apex, 1 over each locule; disk cupulate, partly enclosing the base of the ovary; style as long or longer than the ovary, stigma ovoid, slightly broader than the style; fruits subglobose, 6-8 mm diam. when mature, peel yellowish-green, with many large, translucent oil glands, 0.5-0.75 mm diam.; seeds thick, monoembryonic, testa exceedingly thin, embryo olive-green when dry and covered with numerous minute oil glands, 0.1 mm diam."

References

Swingle, W.T. and P.C. Reece. 1967. The botany of Citrus and its wild relatives. In: Reuther, W., H.J. Webber, and L.D. Batchelor (eds.). The Citrus industry. Ed. 2. Vol. I. University of California, Riverside. http://lib.ucr.edu/agnic/webber/Vol1/Chapter3.html.

Resources

Search for this cultivar in NCBI Entrez

           Habit (Riverside, CA)

Habit (Riverside, CA)

           Habit (Riverside, CA)

Habit (Riverside, CA)

           Bark (Riverside, CA)

Bark (Riverside, CA)

             Thorn (Riverside, CA)

Thorn (Riverside, CA)

             Second - third year twig (Riverside, CA)

Second - third year twig (Riverside, CA)

             Petiole (Riverside, CA)

Petiole (Riverside, CA)

             Petiole (Riverside, CA)

Petiole (Riverside, CA)

             Unifoliolate leaf (Riverside, CA)

Unifoliolate leaf (Riverside, CA)

             Unifoliolate leaf (Riverside, CA)

Unifoliolate leaf (Riverside, CA)

             Margin (Riverside, CA)

Margin (Riverside, CA)

             Margin (Riverside, CA)

Margin (Riverside, CA)

             Shade leaves (Riverside, CA)

Shade leaves (Riverside, CA)

             Shade leaves (Riverside, CA)

Shade leaves (Riverside, CA)

             Sun leaves (Riverside, CA)

Sun leaves (Riverside, CA)

             Sun leaves (Riverside, CA)

Sun leaves (Riverside, CA)

             Sun leaves (Riverside, CA)

Sun leaves (Riverside, CA)

             Sun leaves (Riverside, CA)

Sun leaves (Riverside, CA)

             Fruit (© UCR CVC)

Fruit (© UCR CVC)

             Fruit (© UCR CVC)

Fruit (© UCR CVC)