Volkameriana

Synonyms

Citrus volckameriana (sec. NPGS/GRIN 2010)

Cultivar or taxon

Citrus x limon (L.) Osbeck, pro sp. (sensu Mabberley 1997); Citrus limon (L.) Burm. f. [=Citrus x limon (L.) Osbeck, pro sp.] X Citrus reticulata Blanco (sensu Swingle and Reece 1967); Citrus limonia Osbeck (sensu Tanaka sec. Cottin 2002)

Origin

The Chiefland Budwood Facility (2010) provided the following notes on the cultivar (clone DPI-814-20): "Seed and budwood collected from USDA Whitmore Farm (D. Hutchinson) in 1973. Origin: Italy, probable citron x lemon hybrid."

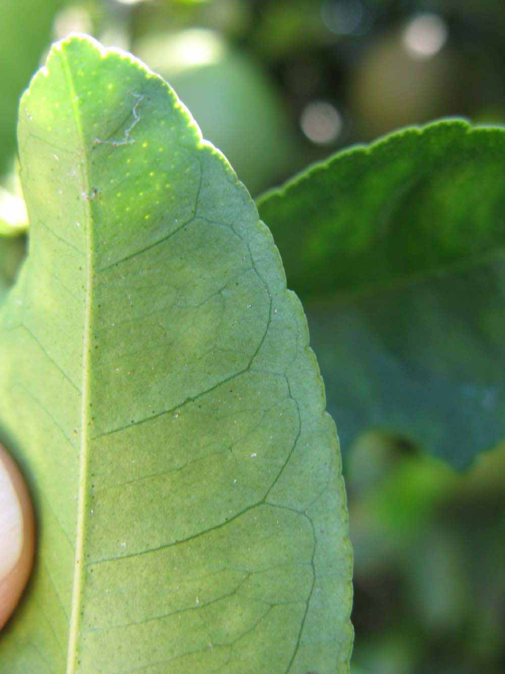
Description

Crown compact or dense, not weeping. First-year twig surface glabrous; second or third year twig surface striate; thorns straight; prickles absent or not persistent. Petiole glabrous, length short; wings absent, if present, narrow, adjoining the blade. Leaflets one, margin crenate/crenulate or bluntly toothed, shade leaflet blades weakly conduplicate, sun leaflet blades weakly or strongly conduplicate. Scent of crushed leaflets sweetly orange-like or freshly lemon-like. Fruit as broad as long or longer than broad; rind yellow (7-10), yellow-orange (11), or orange (12); rind texture slightly rough (4-5) or rough (8); firmness leathery; navel absent; flesh orange or yellow; taste sour.

The Chiefland Budwood Facility (2010) provided the following additional notes on the cultivar (clone DPI-814-20): "Description: Vigorous, productive R/S, similar to R/L, fruit quality only slightly better. Problems: Blight, cold sensitive but less affected than R/L."

References

Chiefland Budwood Facility. 2010. 2010 Annual report July 1, 2009 - June 30, 2010. Bureau of Citrus Budwood Registration, Florida Department of Agriculture & Consumer Services, Winter Haven.

Cottin, R. 2002. Citrus of the World: A citrus directory. Version 2.0. France: SRA INRA-CIRAD.

Mabberley, D.J. 1997. A classification for edible Citrus (Rutaceae). Telopea 7: 167–172.

Swingle, W.T. and P.C. Reece. 1967. The botany of Citrus and its wild relatives. In: Reuther, W., H.J. Webber, and L.D. Batchelor (eds.). The Citrus industry. Ed. 2. Vol. I. University of California, Riverside. http://lib.ucr.edu/agnic/webber/Vol1/Chapter3.html.

Resources

Search for this cultivar in NCBI Entrez

Additional information on this cultivar at University of California: Riverside Citrus Variety Collection

           Habit (Winter Haven, FL)

Habit (Winter Haven, FL)

           Habit (Riverside, CA)

Habit (Riverside, CA)

           Bark (Winter Haven, FL)

Bark (Winter Haven, FL)

           Bark (Riverside, CA)

Bark (Riverside, CA)

           First year twig (Riverside, CA)

First year twig (Riverside, CA)

           First year twig (Riverside, CA)

First year twig (Riverside, CA)

             Second - third year twig (Winter Haven, FL)

Second - third year twig (Winter Haven, FL)

             Second - third year twig (Riverside, CA)

Second - third year twig (Riverside, CA)

             Petiole (Riverside, CA)

Petiole (Riverside, CA)

             Unifoliolate leaf (Winter Haven, FL)

Unifoliolate leaf (Winter Haven, FL)

             Unifoliolate leaf (Winter Haven, FL)

Unifoliolate leaf (Winter Haven, FL)

             Margin (Winter Haven, FL)

Margin (Winter Haven, FL)

             Margin (Riverside, CA)

Margin (Riverside, CA)

             Shade leaves (Winter Haven, FL)

Shade leaves (Winter Haven, FL)

             Shade leaves (Winter Haven, FL)

Shade leaves (Winter Haven, FL)

           Shade leaves (Riverside, CA)

Shade leaves (Riverside, CA)

           Shade leaves (Riverside, CA)

Shade leaves (Riverside, CA)

             Sun leaves (Winter Haven, FL)

Sun leaves (Winter Haven, FL)

             Sun leaves (Winter Haven, FL)

Sun leaves (Winter Haven, FL)

             Sun leaves (Riverside, CA)

Sun leaves (Riverside, CA)

           Immature fruit (Riverside, CA)

Immature fruit (Riverside, CA)

           Fruit (Riverside, CA)

Fruit (Riverside, CA)

           Fruit (Riverside, CA)

Fruit (Riverside, CA)

           Fruit (Riverside, CA)

Fruit (Riverside, CA)

           Fruit (Riverside, CA)

Fruit (Riverside, CA)

           Fruit (Winter Haven, FL)

Fruit (Winter Haven, FL)

           Fruit (Winter Haven, FL)

Fruit (Winter Haven, FL)

           Fruit (Winter Haven, FL)

Fruit (Winter Haven, FL)

           Fruit (Winter Haven, FL)

Fruit (Winter Haven, FL)

           Fruit (Winter Haven, FL)

Fruit (Winter Haven, FL)

           Fruit (Winter Haven, FL)

Fruit (Winter Haven, FL)

           Fruit cross-section (Riverside, CA)

Fruit cross-section (Riverside, CA)

           Fruit cross-section (Winter Haven, FL)

Fruit cross-section (Winter Haven, FL)